Többféle felhasználási lehetőség Kistarcsán!

6968 Nyomtatás Ajánlás Facebook

Ipari ingatlant keres közel az M0-ás körgyűrűhöz?
Rengeteg lehetőséget biztosító ipari ingatlan, raktár Kistarcsai ipari park területén!

Kistarcsán remek elhelyezkedéssel földszint és emeleten, összesen 438nm-es ipari ingatlan vált ELADÓVÁ!
Az ingatlan korábban egy nagyobb méretű ingatlan volt melyet a tulajdonosok ügyvédi megosztási szerződéssel több részre osztanak és értékesítenek.
Földszint: 274nm-es
Emelet: 164nm-es
Súlykorlátozás nélküli terület így nem szükséges az engedélyek beszerzése.
Az ingatlan több hasznosítási lehetőséget is magában hordoz:
-gyártósor elhelyezése
-bemutatóteremként
-telephelyként
-raktárként
-kereskedelmi áruházként
-munkásszállóként való hasznosítás

Külön-külön is megvásárolhatóak a raktárak igény esetén, ebben az esetben:
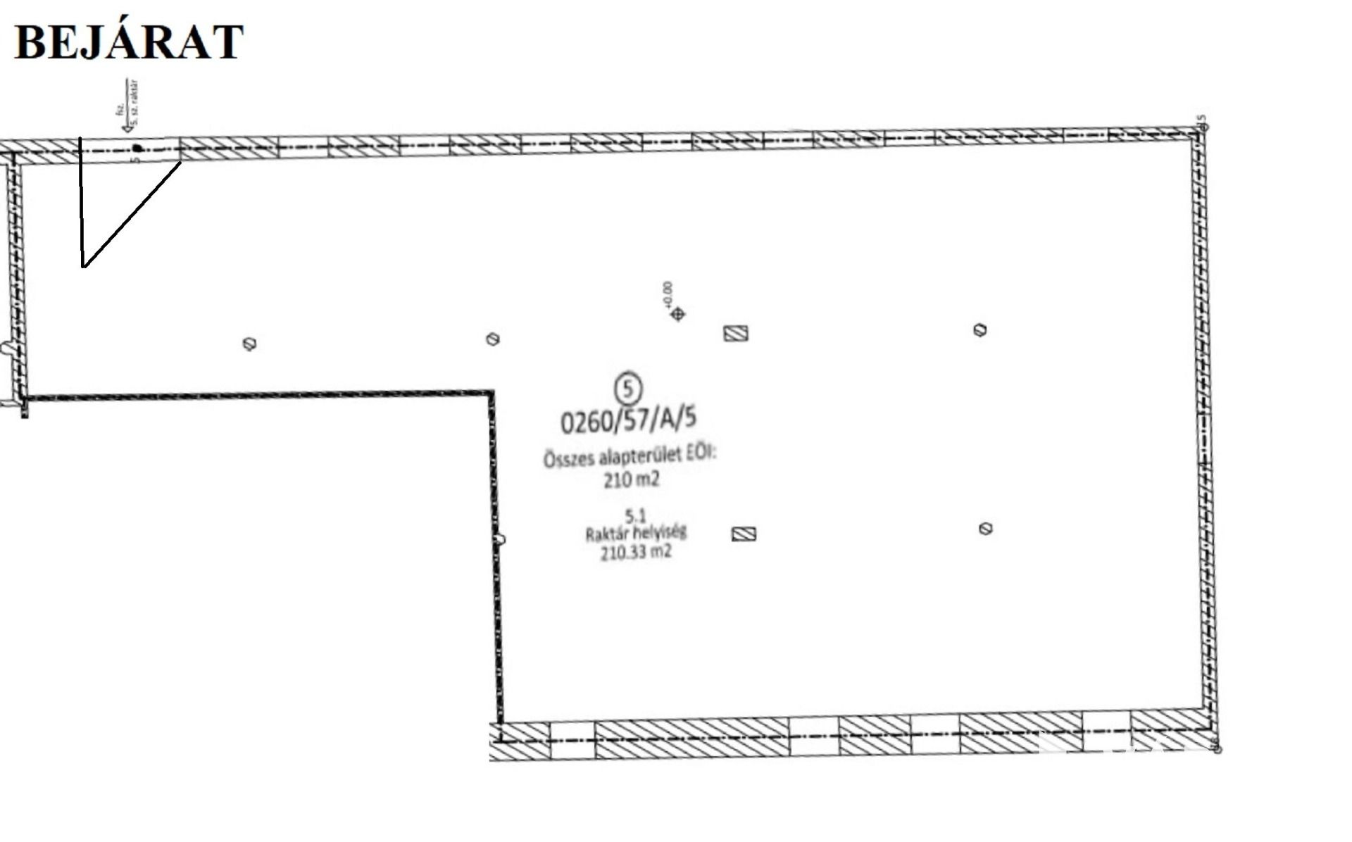
-földszinten elhelyezkedő 210nm-es ipari ingatlan is 75.000.000,-
-földzsinten és emeleten elhelyezkedő 228nm-es ipari ingatlan 55.000.000,- forint áron
.
Természetesen a két ingatlan megvásárlása esetén egy nagyobb és hasznosíthatóbb ipari ingatlanra tehetünk szert kimondottan jó áron!

Az új tulajdonos feladati között szerepel majd:
-közműhálózat bekötése
-szociális helységek kialakítása(szükség esetén)

Az ingatlan folyamatosan használva volt így a szükséges belső felújítások, karbantartások megtörténtek az elmúlt évek során.
Belülről akár több, kisebb részre is bontható igény esetén.

Elhelyezkedése és kialakítása következtében felhasználhatósága sokoldalú!
Jöjjön el és nézze meg! Nem fog csalódni benne!

Az ingatlan főbb jellemzői:
-438m2-es ipari ingatlan mely több részre osztható(földszint 274nm-es, emelet 164nm-es)
-2,8 méter a belmagasság(gerendáknál)
-közművek nincsenek bekötve de könnyedén beköthetőek
-súlykorlátozás nélküli ipari területen fekszik.

Közlekedés és elhelyezkedés:
-az M0-as autópálya pár kilométer távolságra a telephelytől.

Irodánkban a következő szolgáltatásokkal állunk meglévő és leendő ügyfeleink rendelkezésére:
-ingatlanközvetítés (díjmentes tanácsadás, kiemelt méretű vevői adatbázis, magas szintű szakmai háttér)
-bank semleges hitelügyintézés vásárlóknak (díjmentes hitelszűrés és tanácsadás)
-adás-vétellel kapcsolatos jogi tanácsadás.
-ingyenes ingatlan közvetítés kereső ügyfeleink részére.
-energetikai tanúsítvány készítése.

Ne hagyja elveszni ezt a páratlan lehetőséget!
Minden nap elérhető vagyok, hívjon, egyeztessünk időpontot az ingatlan megtekintésére!

Porkoláb Dániel
PRÉMIUM

Porkoláb Dániel

2 éve a Városi Ingatlaniroda tagja
Ingatlanértékesítő
Budapest
+36 (70) 671 7702
Észrevétel a hirdetéssel kapcsolatban
Egy ingatlanos naplója